どこの市町にもあるように
宮崎市内にも十年以上の長きに渡り
猫が捨てられ続けている場所があります。
そして
そこには
これまた
どこの市町でも起きているように
無責任な餌やりたちが
どこからともなく集まり
医療をかけず
ただダラダラと安価な餌を与えています。
結果
どこの市町でも起きているように
捨てられた猫たちは
防腐剤まみれの
いかにも体に悪い安価な餌を食べさせられ
そこで繁殖し
体の弱い子猫が生まれては死に
・・・を繰り返しています。
無責任な餌やりは《平気で》言います。
「子猫は生まれるけど育たないよ」
「育っても車にひかれるしね」
「だから猫は増えないよ」
無責任な餌やりは
生まれた子猫の不幸がわかっていながら
不妊手術には断固反対します。
不妊手術を反対する理由?
それは子猫を《見たい》から
子猫に対して
《家に連れて帰って育てる》などという
明確な責任は一切負わないけれど
子猫は《見たい》
自分が餌やりに行ったとき
子猫がヨチヨチ出てきてくれたら嬉しい
・・・ただそれだけ
これも万国共通です・・・
。。。。。。。。。。。。。。。。。。。
こ〜ゆ〜現場に入るには
いろんなシチュエーションを想定して
《持ち球》を
かなり用意する必要があります。
こ〜ゆ〜現場に入るときは
無計画に突っ走ると間違いなく失敗します。
。。。。。。。。。。。。。。。。。。。
先月の九州TNR一斉の時に
TNRに反対する無責任な餌やりの説得を
頼まれた私と
頼んだ側の宮崎のボランティアとの認識に
差があったため
餌やりを説き伏せることができた
ベストなタイミングで
宮崎のボランティア側が
即時対応ができないという
大変厳しい状況に追いやられました。
無責任な餌やりと対峙するときの
セオリーは
『リ〜即ヅモ』
一気に畳み掛けなければ
話は流れてしまうのです。
。。。。。。。。。。。。。。。。。。。
無責任な餌やりは
なんだって言います。なんだってやります。
だって
無責任な餌やりなんですもん!
私は無責任な餌やりに
自分の携帯番号を教え
『なにかあれば必ず私に電話するよう』
何度も言いましたが
私には電話をかけてこないだろうと
予測はしていました。
だって宮崎のボランティアさんは
言葉づかいも丁寧で優しいわけですからね
よほどの変態でもない限り
わざわざ
茶色く太った広島弁のオバサンに
電話をしてくるハズはないでしょ?
。。。。。。。。。。。。。。。。。。。
猫がたくさんいる場所には
1人2人ではなく
たくさんの無責任な餌やりが存在します。
それだけ
問題は大きく深く厳しいのです。
しかも先月
TNR説得後に《後手を踏んだ》現場です。
厳しい状況だと予測した上で
宮崎の個人ボランティアさんたちが
私に《丸投げ》しないで
自分たちも努力して精一杯やり抜く気なら
私はできる限りの協力はします。
。。。。。。。。。。。。。。。。。。。
今日も今日とて
私の気管支には《ぜんそく野郎》が
居座ったままですが
これぐらい丸々肥えて
ふてぶてしく寝ているようじゃあ
同情票すら
もらえそうにないかな(笑)

私が餌やりでも
このオバサンには電話したくないね(笑)
そんなこんなで始まりました。
全国野良猫対策連合会オールプレゼンツ
第1回・宮崎特定地TNR一斉
かねてより親交がある
宮崎市のセンターの永田所長が
朝一番から最後まで
しっかりお手伝いしてくれました。
これは本当に助かりましたよ!
センターの所長ですからね
獣医なのは間違いないでしょ
そりや〜助かりますよね
これからの時代
行政と民間がきちんと協働して
野良猫問題を対策していかなければ
殺処分問題は解決しません!
行政と民間は
どこまで協働していけばいい?
そんなものはケースバイケース
やってみにゃなんもわからん!
言えることはただひとつ
改革には痛みを伴う
痛みを恐れていたのでは改革はできん
その点
宮崎市のセンターは女性所長
女はイザというときにキモが座る
ましてや永田所長は広島女(笑)
「殺処分を減らすために努力してます」
そんな眠たいことは言わん
着々と結果を出していく
前夜
飛行機で宮崎入りして
朝からひたすら手術してくれたのは
神奈川県横浜市の
さかい犬猫クリニックの酒井院長
同じく神奈川県横浜市の
いなば動物病院の稲葉院長
この2名の先生は
手術のスピードだけでなく
手術がうまくてキレイ!
短時間で頭数をこなさねばならない現場には
絶対不可欠な先生たちです。
無責任な餌やりに邪魔されながらの
前夜の捕獲
宮崎市の個人ボランティアさんたちは
頑張って捕まえたと思います。
手術会場に来て
毛ぞりされたからわかる
筋層に穴がある臍ヘルニア(出べそ)
もちろん
ちゃんと手術して治しましたよ♪
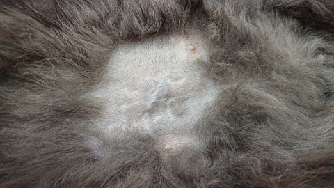
走り去る姿を見るだけでは
一瞬はケンカ傷に見えますが
こうしてよく見るとカイセン
もちろん
カイセン治療もしました。
カイセンになる原因は免疫力の低下
栄養価の低い
安価な餌を食べさせられている子が
カイセンになります。
先生たちの手の動きは
1mmの無駄もなくあまりに美しいので
永田所長も見惚れています。
それを見て
ぜんぜん関係ない私が後ろから
『すごいじゃろ?』と威張る(笑)
。。。。。。。。。。。。。。。。。。
今回の現場は
猫の捨て場になっているから
TNRに参加した子の中には
不妊されていた《元飼い猫》も
何匹かいました。
その手術痕がまた凄くて・・・
獣医なら獣医らしく勉強して
手術の技を磨けばええのに
なんで努力せんのじゃろう?
まっすぐ切ってもないし
まっすぐ縫ってもない
まっすぐ切って
丁寧に縫ってあるけど
とにかく傷がデカすぎる!
横切りしたのかな?
お腹にクモがいるみたいな
放射線状の傷
桂代ちゃんが
「これ何?これが手術痕?」
・・・って聞くから答えました。
『これは
宇宙からのメッセージ』
もうねホントに何がしたいの?
真面目に手術してよ!

私たちのTNR活動に
協力してくださる先生たちの手術痕は
これですよ。これ!
今回も今回とてオス猫の中に
停留精巣が1匹いました。
タマがお腹の中から出ていない停留精巣は
40匹に1匹の割合でいます。
これはかなりの確率です!
しかも今回は
片方のタマが鼠径部に停留していたから
2人がかりで取り出してもらいました。
左のタマが正常に
ぶら下がっていた方で
右のタマが鼠径部に
入り込んでいたタマです。
なので
お腹を2箇所も切るハメになりましたが
傷は小さいし
取り出してもらえてラッキーです。
そのままだと
腫瘍になる危険性が高いですからね!
タマちゃん良かったね
鼠径部に隠れていたタマは取れたし
なんと言っても
酒井先生&稲葉先生2人がかりの手術
私らから言わせれば
『すごい贅沢な手術』だったし
どこの市町にも
猫の捨て場になっている場所があります。
捕まえてTNRをしてもしても
一向に終わりそうもない場所があります。
そこには必ずと言っていいほど
無責任な餌やりがいて
ダラダラと安価な餌をばらまいては
いろんなところに波紋を広げ
トラブルを巻き起こしています。
そんな場所がある限り
猫の殺処分は減らないし
猫は不幸のスパイラルから抜け出せません。
そこの市町の行政職員が精一杯
職務を遂行し
個人のボランティアたちが
丸投げしないで頑張る努力をするなら
私も責任を持って
できる限りの協力をします。
1回2回で解決するような
ヤワな現場じゃないので
やりがいはじゅうぶんある
来年も頑張っていきましょう♪
今回リターンできなかった子は1匹
好酸球肉芽腫でパットが爆発していて
おまけに
腎臓が弱っていて補液が必要
まぁこれも乗りかかった船
このまま広島に連れて帰って
点滴をしながら
余生をまったり過ごしてもらおう
・・・と
みなしごバスに乗せました。
とりあえず私は
《ぜんそく野郎》と折り合いながら
広島を通過して岡山まで行き
明日は
岡山特定地TNR一斉です。









































































